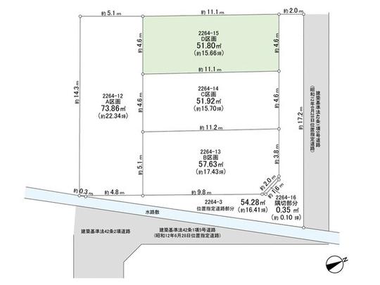
29,800,000 yen, 51.8 sq m
Land/Building » Kanto » Tokyo » Toshima ward
 
| | Toshima-ku, Tokyo 東京都豊島区 |
| Seibu Ikebukuro Line "Higashi Nagasaki" walk 8 minutes 西武池袋線「東長崎」歩8分 |
Price 価格 | | 29,800,000 yen 2980万円 | Building coverage, floor area ratio 建ぺい率・容積率 | | 60% ・ 200% 60%・200% | Sales compartment 販売区画数 | | 1 compartment 1区画 | Land area 土地面積 | | 51.8 sq m (measured) 51.8m2(実測) | Driveway burden-road 私道負担・道路 | | 54.28 sq m , Southeast 3m width (contact the road width 4.8m) 54.28m2、南東3m幅(接道幅4.8m) | Land situation 土地状況 | | Vacant lot 更地 | Address 住所 | | Toshima-ku, Tokyo Minaminagasaki 3 東京都豊島区南長崎3 | Traffic 交通 | | Seibu Ikebukuro Line "Higashi Nagasaki" walk 8 minutes Toei Oedo Line "Ochiaiminami Nagasaki" walk 5 minutes 西武池袋線「東長崎」歩8分 都営大江戸線「落合南長崎」歩5分
| Person in charge 担当者より | | Rep Shimoe AkiraHisashi 担当者下江啓永 | Contact お問い合せ先 | | Mitsui Rehouse Nakanosakaue shop Mitsui Fudosan Realty (Ltd.) TEL: 0120-313184 [Toll free] Please contact the "saw SUUMO (Sumo)" 三井のリハウス中野坂上店三井不動産リアルティ(株)TEL:0120-313184【通話料無料】「SUUMO(スーモ)を見た」と問い合わせください | Land of the right form 土地の権利形態 | | Ownership 所有権 | Time delivery 引き渡し時期 | | Consultation 相談 | Land category 地目 | | Residential land 宅地 | Use district 用途地域 | | One middle and high 1種中高 | Overview and notices その他概要・特記事項 | | Contact: Shimoe AkiraHisashi 担当者:下江啓永 | Company profile 会社概要 | | <Mediation> Minister of Land, Infrastructure and Transport (13) No. 000777 (one company) Property distribution management Association (Corporation) metropolitan area real estate Fair Trade Council member Mitsui Rehouse Nakanosakaue shop Mitsui Fudosan Realty Co. Yubinbango164-0012 Honcho, Nakano-ku, Tokyo, 3-27-10 Verahaitsu Nakanosakaue first floor <仲介>国土交通大臣(13)第000777号(一社)不動産流通経営協会会員 (公社)首都圏不動産公正取引協議会加盟三井のリハウス中野坂上店三井不動産リアルティ(株)〒164-0012 東京都中野区本町3-27-10 ヴェラハイツ中野坂上1階 |
 Local land photo
現地土地写真
 Compartment figure
区画図
Location
|