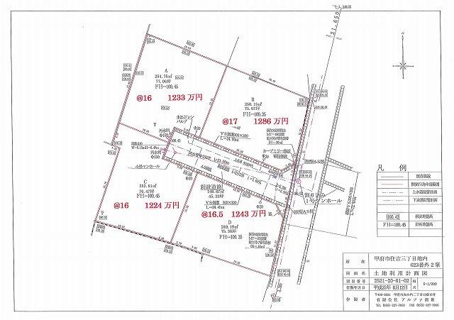
12,240,000 yen ~ 12,860,000 yen, 249.19 sq m ~ 254.75 sq m
Land/Building » Koshinetsu » Yamanashi Prefecture » Kofu
 
| | Kofu, Yamanashi Prefecture 山梨県甲府市 |
| JR minobu line "Minami Kofu" car 1.5km JR身延線「南甲府」車1.5km |
Features pickup 特徴ピックアップ | | Land 50 square meters or more / Vacant lot passes / It is close to the city / Yang per good / Flat to the station / A quiet residential area / Or more before road 6m / No construction conditions / City gas / Flat terrain 土地50坪以上 /更地渡し /市街地が近い /陽当り良好 /駅まで平坦 /閑静な住宅地 /前道6m以上 /建築条件なし /都市ガス /平坦地 | Price 価格 | | 12,240,000 yen ~ 12,860,000 yen 1224万円 ~ 1286万円 | Building coverage, floor area ratio 建ぺい率・容積率 | | Kenpei rate: 60%, Volume ratio: 200% 建ペい率:60%、容積率:200% | Sales compartment 販売区画数 | | 4 compartments 4区画 | Total number of compartments 総区画数 | | 4 compartments 4区画 | Land area 土地面積 | | 249.19 sq m ~ 254.75 sq m (75.37 tsubo ~ 77.06 tsubo) (measured) 249.19m2 ~ 254.75m2(75.37坪 ~ 77.06坪)(実測) | Driveway burden-road 私道負担・道路 | | Road width: 6m, Asphaltic pavement 道路幅:6m、アスファルト舗装 | Land situation 土地状況 | | Vacant lot 更地 | Address 住所 | | Kofu, Yamanashi Prefecture Sumiyoshi 3 山梨県甲府市住吉3 | Traffic 交通 | | JR minobu line "Minami Kofu" car 1.5km JR身延線「南甲府」車1.5km
| Person in charge 担当者より | | Rep Tezuka Ei揮 担当者手塚英揮 | Contact お問い合せ先 | | TEL: 055-225-2255 Please inquire as "saw SUUMO (Sumo)" TEL:055-225-2255「SUUMO(スーモ)を見た」と問い合わせください | Land of the right form 土地の権利形態 | | Ownership 所有権 | Time delivery 引き渡し時期 | | Consultation 相談 | Land category 地目 | | Residential land 宅地 | Use district 用途地域 | | One dwelling 1種住居 | Overview and notices その他概要・特記事項 | | The person in charge: Tezuka Ei揮, Facilities: Public Water Supply, This sewage, 担当者:手塚英揮、設備:公営水道、本下水、 | Company profile 会社概要 | | <Seller> Yamanashi Governor (4) No. 001912 (the company), Yamanashi Prefecture Building Lots and Buildings Transaction Business Association (Corporation) metropolitan area real estate Fair Trade Council member (with) Hiroki housing Yubinbango400-0048 Kofu, Yamanashi Prefecture Kugawahon cho 8-28 <売主>山梨県知事(4)第001912号(社)山梨県宅地建物取引業協会会員 (公社)首都圏不動産公正取引協議会加盟(有)ヒロキハウジング〒400-0048 山梨県甲府市貢川本町8-28 |
Local land photo現地土地写真  Local (January 2014) Shooting
現地(2014年1月)撮影
 Local (January 2014) Shooting
現地(2014年1月)撮影
 Other
その他
Location
|