5.8 million yen, 231.43 sq m
Land/Building » Koshinetsu » Yamanashi Prefecture » Kofu

| | Kofu, Yamanashi Prefecture 山梨県甲府市 |
| JR minobu line "empress dowager" walk 33 minutes JR身延線「国母」歩33分 |
| Ideal for residential land. ■ Play house Reprice 住宅用地に最適。■再生住宅リプライス |
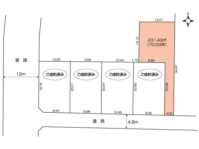
Features pickup 特徴ピックアップ | | Land 50 square meters or more / Immediate delivery Allowed / Yang per good / Siemens south road 土地50坪以上 /即引渡し可 /陽当り良好 /南側道路面す | Price 価格 | | 5.8 million yen 580万円 | Building coverage, floor area ratio 建ぺい率・容積率 | | 60% ・ 200% 60%・200% | Sales compartment 販売区画数 | | 1 compartment 1区画 | Total number of compartments 総区画数 | | 5 compartment 5区画 | Land area 土地面積 | | 231.43 sq m (70.00 tsubo) (Registration) 231.43m2(70.00坪)(登記) | Driveway burden-road 私道負担・道路 | | Nothing, South 4.8m width 無、南4.8m幅 | Land situation 土地状況 | | Vacant lot 更地 | Address 住所 | | Kofu, Yamanashi Prefecture Osato-cho, 3859-14 山梨県甲府市大里町3859-14 | Traffic 交通 | | JR minobu line "empress dowager" walk 33 minutes JR身延線「国母」歩33分
| Related links 関連リンク | | [Related Sites of this company] 【この会社の関連サイト】 | Contact お問い合せ先 | | (Ltd.) Reprice Shinshu TEL: 0120-976435 [Toll free] Please contact the "saw SUUMO (Sumo)" (株)リプライス 信州TEL:0120-976435【通話料無料】「SUUMO(スーモ)を見た」と問い合わせください | Land of the right form 土地の権利形態 | | Ownership 所有権 | Time delivery 引き渡し時期 | | Immediate delivery allowed 即引渡し可 | Land category 地目 | | Residential land 宅地 | Use district 用途地域 | | One middle and high 1種中高 | Company profile 会社概要 | | <Seller> Minister of Land, Infrastructure and Transport (1) No. 007920 (Ltd.) Reprice Shinshu Yubinbango390-1241 Matsumoto, Nagano Prefecture, Oaza Shinchon 521 Sinchon building second floor 204, Room <売主>国土交通大臣(1)第007920号(株)リプライス 信州〒390-1241 長野県松本市大字新村521 新村ビル2階204号室 |
Compartment figure区画図  Land price 5.8 million yen, Land area 231.43 sq m
土地価格580万円、土地面積231.43m2
Otherその他  Neighborhood landscape (1)
近隣風景(1)
 Neighborhood landscape (2)
近隣風景(2)
 Building building site (2)
建物建築敷地(2)
 Contact surface road (1)
接面道路(1)
 Contact surface road (2)
接面道路(2)
 Contact surface road (3)
接面道路(3)
 Contact surface road landscape (1)
接面道路風景(1)
 Contact surface road landscape (2)
接面道路風景(2)
 Site entrance
敷地入口
Location
|