13.3 million yen, 219.83 sq m
Land/Building » Koshinetsu » Yamanashi Prefecture » Kofu
 
| | Kofu, Yamanashi Prefecture 山梨県甲府市 |
| JR Chuo Line "Kofu" walk 34 minutes JR中央線「甲府」歩34分 |
Features pickup 特徴ピックアップ | | Land 50 square meters or more / Immediate delivery Allowed / A quiet residential area / Around traffic fewer / Corner lot / Shaping land / Flat terrain / Development subdivision in 土地50坪以上 /即引渡し可 /閑静な住宅地 /周辺交通量少なめ /角地 /整形地 /平坦地 /開発分譲地内 | Price 価格 | | 13.3 million yen 1330万円 | Building coverage, floor area ratio 建ぺい率・容積率 | | 60% ・ 200% 60%・200% | Sales compartment 販売区画数 | | 1 compartment 1区画 | Total number of compartments 総区画数 | | 6 compartment 6区画 | Land area 土地面積 | | 219.83 sq m (66.49 tsubo) (measured) 219.83m2(66.49坪)(実測) | Driveway burden-road 私道負担・道路 | | Nothing, South 6m width (contact the road width 4.4m) 無、南6m幅(接道幅4.4m) | Land situation 土地状況 | | Vacant lot 更地 | Address 住所 | | Kofu, Yamanashi Prefecture Shimoida 2 山梨県甲府市下飯田2 | Traffic 交通 | | JR Chuo Line "Kofu" walk 34 minutes Yamanashi traffic "Kofu Josai high school bus stop" walk 9 minutes JR中央線「甲府」歩34分 山梨交通「甲府城西高校バス停」歩9分 | Person in charge 担当者より | | Rep Sano 担当者佐野 | Contact お問い合せ先 | | (Ltd.) San Home TEL: 055-228-2522 Please inquire as "saw SUUMO (Sumo)" (株)サンホームTEL:055-228-2522「SUUMO(スーモ)を見た」と問い合わせください | Expenses 諸費用 | | Autonomous fee: unspecified amount 自治会費:金額未定 | Land of the right form 土地の権利形態 | | Ownership 所有権 | Time delivery 引き渡し時期 | | Immediate delivery allowed 即引渡し可 | Land category 地目 | | Residential land 宅地 | Use district 用途地域 | | One dwelling 1種住居 | Overview and notices その他概要・特記事項 | | Contact: Sano, Facilities: Public Water Supply, This sewage, Individual LPG 担当者:佐野、設備:公営水道、本下水、個別LPG | Company profile 会社概要 | | <Mediation> Yamanashi Governor (10) No. 03/000906 (Ltd.) San Home Yubinbango400-0064 Kofu, Yamanashi Prefecture Shimoida 2-2-1 <仲介>山梨県知事(10)第000906号(株)サンホーム〒400-0064 山梨県甲府市下飯田2-2-1 |
Local land photo現地土地写真  Local (September 2010) Shooting
現地(2010年9月)撮影
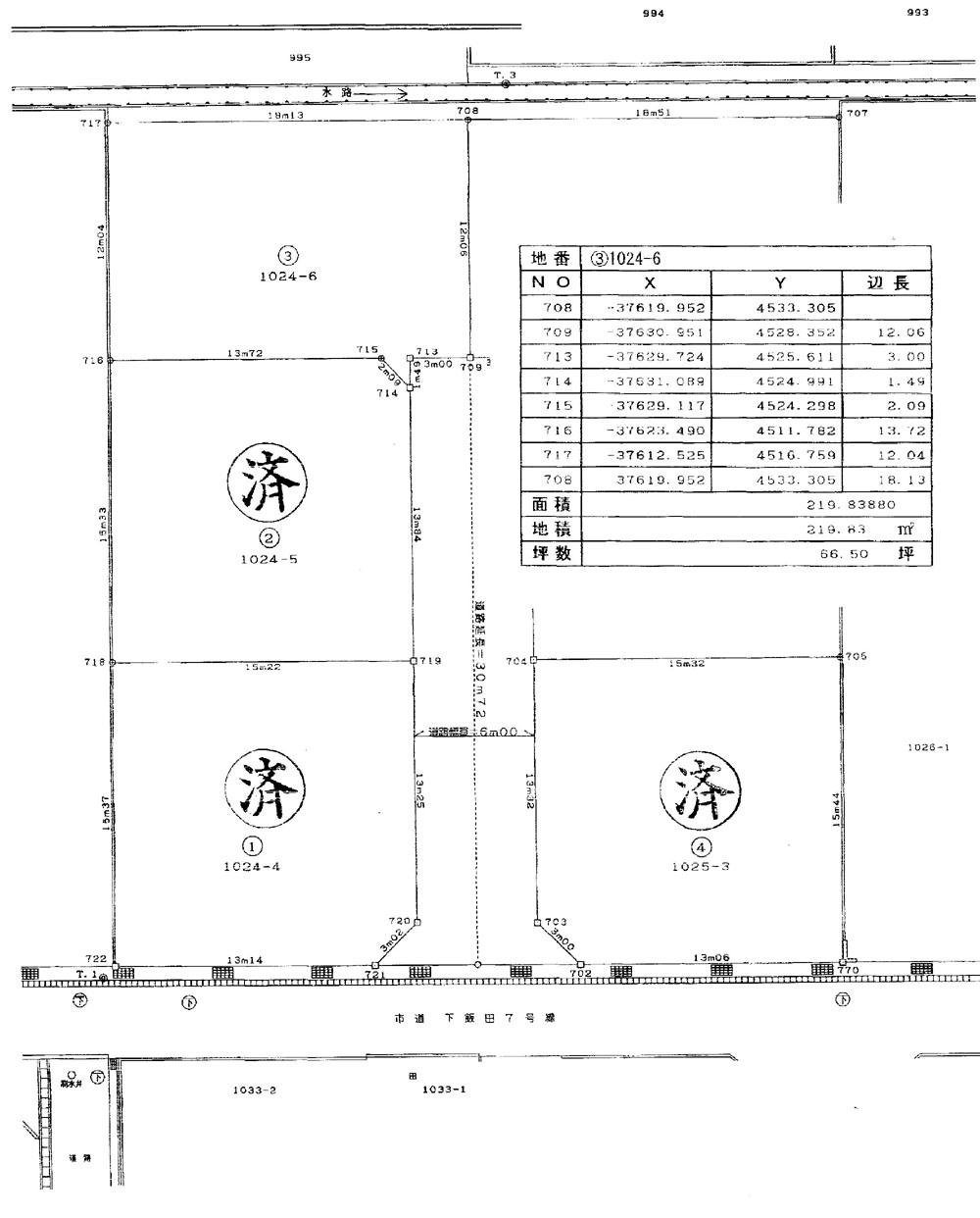
Compartment figure区画図  Land price 13.3 million yen, Land area 219.83 sq m
土地価格1330万円、土地面積219.83m2
Location
|